Land For Sale In Budaiea
126,746 BHD
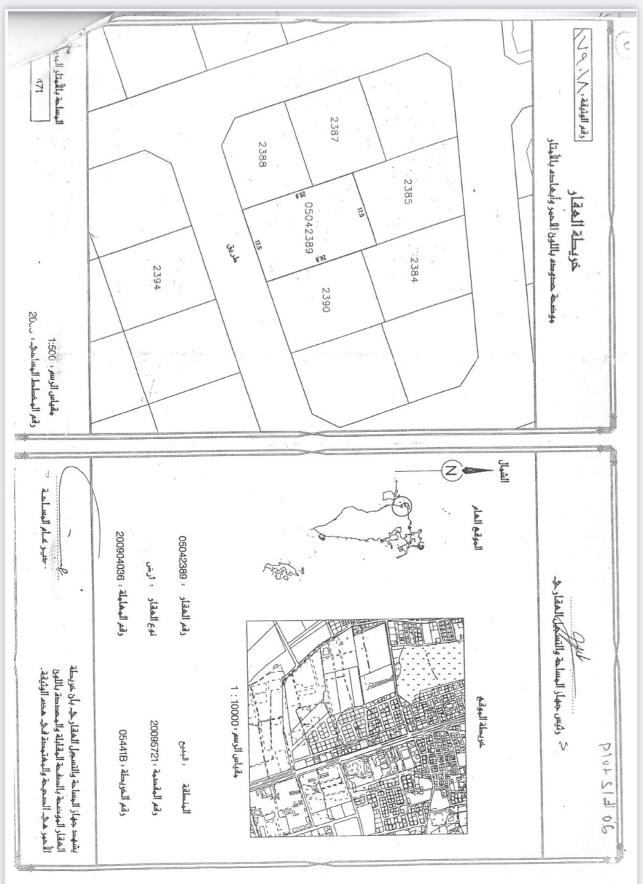
Residential Land for Sale in Budaiea with a classification of RB (Private Residential Area - B) located on One Road. The Land size is 471 SQM, priced at 25.00BHD per SQFT , with a total price of 126,746.000BHD
This property can be purchased through programs provided by the Ministry of Housing and Urban Planning, such as the Mazaya program or Taseel program.
For more information, please contact us.