Land For Sale In Hamalah
68,000 BHD
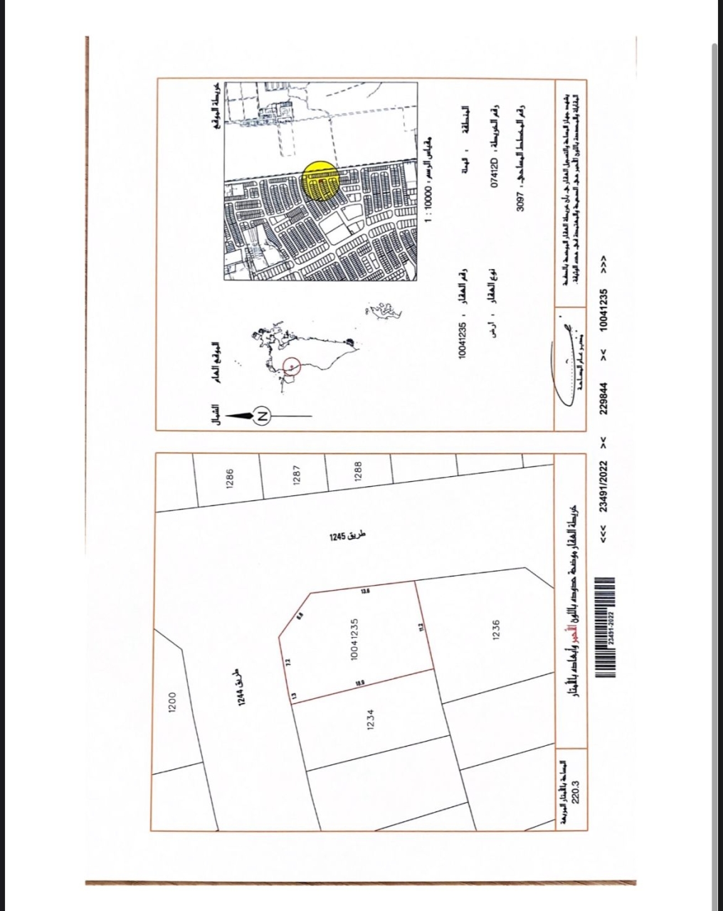
Residential Land for Sale in Hamalah with a classification of RHA (Connected Residential Area – A). The Land size is 220.3 SQM , with a total price of 69,500.000BHD
This property can be purchased through programs provided by the Ministry of Housing and Urban Planning, such as the Mazaya program or Taseel program.
For more information, please contact us.